Recomandari 10:29
Horoscop 04:00
Recomandari ieri
Nu ai cont? Aboneaza-te
Social scris de Alexandra Chivu 26 Jan. 2023
Acum copiii care învață la Școala Gimnazială ”Cornel Regman” din Daneș (jud Mureș) pot numi ”acasă” școala recent renovată de către Asociația BookLand, partenerii săi și autoritățile locale. Împreună au investit și au schimbat condițiile în care învățau copiii, influențând în bine destinele a mii de copii care-i vor trece pragul de acum încolo.
Social scris de Valentina Podgorneac 09 Dec. 2020
Mai multe ONG-uri îi propun primarului Capitalei, Nicușor Dan să lucreze împreună pentru București.
Social scris de Valentina Podgorneac 02 Nov. 2020
Organizațiile neguvernamentale cere BEC ca ședințele pentru alegerile parlamentare din 6 decembrie să desfăşoare public.
Social scris de Lorena Martin 29 Oct. 2020
Un raport al unui ONG german arată că puiul vândut ieftin în supermarketurile din Europa prezintă superbacterii care pot afecta sănătatea oamenilor.
International 12 Dec. 2019
Cladirea Consiliului European de la Bruxelles a fost ocupata de militantii Greenpeace.
Social 27 Nov. 2019
Reprezentantii ONG-ului Letea Wild Horses lanseaza un apel pentru ajutor, dupa ce s-au luptat timp de mai multe ore pentru a salva oile care au supravietuit de pe nava rasturnata in Portul Midia, informeaza stirileprotv.ro .
International 09 Aug. 2019
Actorul american Richard Gere a adus vineri alimente pe nava umanitara Open Arms, care asteapta autorizatia pentru a debarca in port cei 121 migranti salvati din Marea Mediterana in urma cu o saptamana, relateaza EFE.
Politica 05 Aug. 2019
Un numar de 29 de organizatii nonguvernamentale si grupuri civice au adresat o scrisoare deschisa presedintelui Autoritatii Electorale Permanente, Constantin-Florin Mituletu-Buica, si ministrului Afacerilor Externe, Ramona Manescu, prin care atrag atentia ca, daca se mentine ritmul actual de inscriere, pana la implinirea termenului limita se vor pre-inregistra doar 40.000 de cetateni pentru votul in diaspora.
Politica 03 Jun. 2019
Liviu Plesoianu a reactionat dupa ce zece organizatii au solicitat senatorilor, prin intermediul unei scrisori, sa se respinga propunerea legislativa pentru modificarea si completarea Ordonantei Guvernului nr. 26/2000 cu privire la asociatii si fundatii, initiata de deputatul PSD.
Politica 23 Oct. 2018
Prim-vicepresedintele PNL Raluca Turcan este de parere ca majoritatea parlamentara PSD-ALDE continua loviturile in serie la adresa asociatiilor si fundatiilor din Romania cu Directiva pentru combaterea spalarii banilor.
Social 20 Apr. 2018
Daca pentru unii oameni jobul inseamna doar un loc stabil de unde incaseaza lunar un salariu, altii vor ca eforturile lor la locul de munca sa aiba un impact asupra societatii in care traiesc sau asupra oamenilor pe care ii intalnesc. Cei care isi aleg cariere prin care sa faca o diferenta in lume nu sunt intotdeauna idealisti. Ei sunt oameni care inteleg ca actiunile unei singure persoane pot fi, de multe ori, suficiente pentru a schimba in bine o situatie. Iar fiecare fapta buna pe care o fac transforma, sub ochii lor, viata cuiva sau chiar lumea in care traiesc.
Politica 26 Jan. 2018
Presedintele Senatului, Calin Popescu-Tariceanu, este de parere ca actiunile miliardarului american George Soros constituie "un demers pervers".
Politica 30 Dec. 2017
Prim-ministrul Mihai Tudose sustine ca ONG-urile nu stabilesc cine face parte dintr-un Guvern, dupa ce reprezentantii a 43 de organizatii civice care s-au intalnit miercuri cu premierul i-au solicitat acestuia, printre altele, demiterea ministrului justitiei, Tudorel Toader.
Politica 27 Dec. 2017
Secretarul general adjunct al PSD Codrin Stefanescu a declarat miercuri ca nu exista un cutremur in acest partid din cauza intalnirii dintre premier si "reprezentantii hastag Rezist" si ai "ONG-urilor finantate de Soros&comp", pentru ca, prin natura functiei sale, Mihai Tudose este obligat sa dialogheze cu absolut toata lumea.
Social scris de Clara Vacaru 20 Dec. 2017
Reteaua pentru prevenirea si combaterea violentei impotriva femeilor - Reteaua VIF trage un semnal de alarma asupra urmarilor deosebit de grave ale unei eventuale adoptari ale modificarilor Codului de Procedura Penala, aflate pe ordinea de zi a comisiilor reunite ale Parlamentului, se arata intr-un comunicat de presa transmis de Asociatia Transcena.
Politica 11 Dec. 2017
Traian Basescu sustine ca nu mai crede in sinceritatea protestelor din Piata Victoriei.
International scris de Clara Vacaru 18 Oct. 2017
Omul de afaceri George Soros a donat 18 miliarde de dolari grupului sau de ONG-uri Open Society Foundations (OSF), suma donata de investitorul ungur de-a lungul vietii ajungand astfel la 32 miliarde dolari, potrivit Financial Times (FT).
International 29 Jun. 2017
Italia ameninta sa-si inchida porturile ONG-urilor care salveaza migranti in largul coastei libiene.
International 07 Apr. 2017
Trei militari si doi civili au fost ucisi in atacul american asupra unei baze aeriene siriene, a declarat vineri un oficial sirian pentru The Associated Press.
Business 25 Feb. 2017
Organizatiile nonprofit trebuie sa declare si sa plateasca impozitul pe profit pentru anul trecut pana luni, 27 februarie, cu o luna mai devreme decat altii.
Politica 14 Dec. 2016
Sotul Clotildei Armand a publicat un mesaj prin care il demonteaza pe seful de campanie al USR, Matei Paun.
Social 01 Sep. 2016
24 de tineri europeni, pasionati de comunicare si branding, experimenteaza pe parcursul a sapte zile noi tehnici si instrumente de storytelling adaptate sectorului non-profit. Atelierul Asociatiei Monomyths este finantat prin programul Erasmus+ si face parte din proiectul „Monomyths: communication tools for NGOs and start-ups” care are ca obiectiv principal crearea unei platforme cu resurse de comunicare si diseminare pentru organizatiile non-profit internationale.
International 28 Aug. 2016
Cel putin 20 de civili au fost ucisi in tiruri de artilerie si atacuri lansate de Turcia in nordul Siriei.
Social 09 Aug. 2016
Patru ONG-uri au sustinut ca sistemul ar permite Serviciului Roman de Informatii (SRI) supravegherea generalizata a populatiei si au cerut anularea lui.
Social 26 May. 2016
Peste 40.000 de persoane au vizitat pe 21 si 22 mai ONGFest, Festivalul Asociatiilor si Fundatiilor sau Atelierul de fapte bune.
Reprezentantii ONG-urilor care se ocupa cu protectia animalelor acuza ca mai multe vietuitoare, printre care si broaste testoase, au fost puse in pericol de casetarea unui canal colector din Craiova, unele fiind chiar ingropate de vii. Autoritatile spun insa ca nu era un habitat natural inregistrat.
Social 19 May. 2016
150 de ONG-uri din Romania vor fi prezente pe 21 si 22 mai in Parcul Herastrau din capitala, cu ocazia celei de-a saptea editii a ONGFest.
International 10 Mar. 2016
Un grup de jurnalisti europeni aflati intr-o vizita organizata de un ONG in Cecenia, sudul Rusiei, a fost atacat, joi, de barbati mascati.
International 25 Feb. 2016
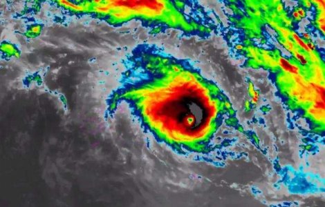
Circa 35.000 de persoane au ramas fara locuinte si traiesc in centre de adapost, in urma ciclonului Winston care a lovit arhipelagul Fiji.
Social 23 Feb. 2016
Noua organizatii neguvernamentale, intre care ActiveWatch si CJI, fac apel la Parlament si la Guvern sa salveze televiziunea publica, precizand ca schimbarea actualei legi de functionare a SRTv si SRR este primul pas pentru depolitizarea si reformarea serviciilor publice de radio si televiziune.
Social 12 Jan. 2016
Romanii arunca la gunoi, anual, peste 50 de mil. de baterii si acumulatori uzati, reprezentand aproximativ 1.150 tone deseuri cu continut mare de metale grele.
Politica 08 Dec. 2015
Comisia de sanatate din Camera Deputatilor a amanat, marti, pentru a doua oara, dezbaterea proiectului de lege care interzice fumatul in toate spatiile publice
Social 06 Nov. 2015
Presedintele Iohannis a primit 5.520 de mesaje de la ONG-uri si de la oameni ce au protestat in aceste zile in Piata Universitatii.
Politica 06 Nov. 2015
Cinci organizatii neguvernamentale i-au transmis presedintelui o scrisoare prin care cer desemnarea unui premier credibil.
Politica 10 Oct. 2015
Mai multe ONG-uri cer Camerei Deputatilor sa respinga proiectul de lege privind defaimarea sociala, initiat de liderul PSD Liviu Dragnea.
International 08 Oct. 2015
Barack Obama a sunat-o miercuri, din Biroul Oval, pe presedinta Médecins sans Frontières (MSF) Joanne Liu, pentru "a cere scuze si a prezenta condoleante", in urma bombardarii de catre armata americana, sambata, a spitalului ONG-ului din Kunduz, si uciderii a 22 de oameni, relateaza Le Monde online.
Social 26 Sep. 2015
Zeci de organizatii neguvernamentale cer Ministerului Educatiei sa elaboreze un plan strategic pentru educatie sexuala, aratand ca desi aceasta materie ar trebui sa fie obligatorie inainte ca tinerii sa devina activi sexual, cei din invatamantul preuniversitar continua sa fie privati de informatii.
International 27 Jul. 2015
Armata siriana a fost nevoita sa renunte la anumite zone, pentru a ramane in altele, in razboiul impotriva rebelilor, care a intrat in cel de-al cincilea an, recunoaste presedintele sirian Bashar al-Assad.
International 29 Jun. 2015
Gruparea jihdista Stat Islamic (SI) a executat peste 3.000 de persoane in Siria, majoritatea civili, de la proclamarea, in urma cu un an a "califatului"
Foloseste formularul de mai jos