Recomandari 19:04
Recomandari 18:54
Recomandari 18:28
Nu ai cont? Aboneaza-te
Timp liber scris de Diana Oprișan 10 Mar. 2022
Insulele exotice se află și pe lista destinațiilor de vacanță preferate ale românilor, dar din nefericire nu toți își permit să le viziteze. Ei bine, deși mulți doar visează să ajungă, nu își pierd speranța că într-o zi vor reuși să plece într-o vacanță în cele mai frumoase insule din lume pe care le-am înclus și noi în această galerie. Unde ți-ar plăcea să călătorești?
Incredibil 14 Jul. 2019
Un seism puternic, cu magnitudinea 7,3, s-a produs la est de Indonezia duminica, lovind Insulele Moluce (Insulele Mirodeniilor), conform unei informari a Serviciului de prospectare geologica al Statelor Unite (USGS), transmite AFP.
International 18 Sep. 2017
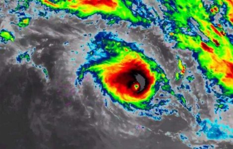
Insulele Guadalupe se pregatesc sa intre in "alerta ciclonica rosie", din pricina uraganului Maria.
International 29 Mar. 2017
Un cutremur cu magnitudinea de 6,9 s-a produs in apropiere de insulele Komandore, care apartin Federatiei Ruse, informeaza US Geological Survey, citat de Reuters .
International 11 May. 2016
Cercetatorii australieni de la Universitatea din Queensland au anuntat ca cinci dintre Insulele Solomon au disparut.
International 25 Feb. 2016
Circa 35.000 de persoane au ramas fara locuinte si traiesc in centre de adapost, in urma ciclonului Winston care a lovit arhipelagul Fiji.
Yuppy 14 Dec. 2015
De ce sa stai la hotel cand poti inchiria o insula privata cu aproape aceeasi bani?
Yuppy 27 Oct. 2015
Palau, o tara insulara aflata in Oceanul Pacific, va fi transformata intr-un sanctuar marin urias.
International 24 Aug. 2015
Ideile geniale ale arhitectilor ar putea ajuta in schimbarea modului in care traim si interactionam cu lumea pentru totdeauna.
Yuppy 24 Aug. 2015
7 insule in care poti uita de trafic, amenzi si grja locului de parcare.
Yuppy 26 Oct. 2011
Intr-un top realizat recent de catre BBC, turisti din toata lumea au fost invitati sa voteze cele mai frumoase insule din lume. Initial in top au fost incluse a
Yuppy 08 Oct. 2014
Despre Bora Bora se spune ca ar fi Paradisul pe Pamant. Ibiza este locul in care trebuie sa ajungi daca vrei sa petreci ca la carte. Insula Zakynthos este renum
Yuppy 25 Jul. 2013
Probabil ca fiecare din noi viseaza ca, macar odata, sa isi poata face bagajul si sa fuga pe o insula exotica, intr-un paradis al linistii si rasfatului, depart
Business 30 Dec. 2014
Preturile insulelor private din Grecia devin tot mai atractive pentru cumparatorii straini, inregistrand in medie un declin de 40% de la debutul crizei financiare internationale, la sfarsitul lui 2008.
International 14 Aug. 2014
Insulele din Grecia sunt considerate destinatii de top la nivel mondial. Daca ti-ai propus o vacanta pe taram elen, 9AM.ro te ajuta sa alegi destinatia perfecta. Iata un top al celor mai impresionante insule din Grecia.
International 10 Jul. 2014
Centrul taifunul Neoguri a ajuns pe Kyushu, una dintre cele patru insule principale care formeaza arhipelagul nipon, a anuntat Agentia meteorologica nationala.
International 23 Nov. 2013
Beijingul a anuntat sambata crearea unei "zone de identificare si aparare aeriene" in Marea Chinei de Est, care include insulele aflate sub controlul Japoniei.
International 11 Nov. 2013
Filipine s-ar putea afla in centrul unui nou dezastru marti dimineata.
Politica 15 Oct. 2013
Ministrul de Externe, Titus Corlatean, critica propunerile unor "politicieni maghiari cu o retorica extremista" privind autonomia pe criterii etnice.
International 03 Oct. 2013
Un vapor plin cu aproximativ 500 imigranti, veniti din Cornul Africii, a naufragiat, joi, in apropiere de Lampedusa (Sicilia), in sudul Italiei, provocand moartea a cel putin 93 de persoane, iar alte aproximativ 151 au fost salvate, a anuntat un purtator de cuvant al Pazei de Coasta.
International 01 Aug. 2013
Noua Zeelanda va acorda, in sfarsit, nume oficiale - in engleza si in maori - celor doua insule principale care formeaza arhipelagul neozeelandez, a anuntat, joi, Consiliul geografic din aceasta tara.
International 12 Jul. 2013
Wall-Street.ro prezinta cinci insule foarte putin cunoscute, care insa fac toti banii si care sunt locurile perfecte pentru cei care cauta intimitate,
International 03 Apr. 2013
Recife de corali, plaje imbietoare, safari 4x4 si privelisti la superlativ.
International 05 Mar. 2013
Emirul Qatarului, seicul Hamad bin Khalifa Al Thani, a cumparat sase insule grecesti din Marea Ionica de la proprietari privati, unde vrea sa construiasca palate pentru cei 24 de copii si cele trei sotii.
International 30 Jan. 2013
Japonia a anuntat marti ca va infiinta o forta speciala, de 600 de oameni si 12 nave, menita sa supravegheze si sa protejeze arhipelagul Senkaku, in Marea Chinei de Est, care face obiectul unei dispute teritoriale cu China.
International 23 Nov. 2012
Acum, cand vremea se raceste, locuitorii emisferei nordice se gandesc cu nostalgie la zilele calduroase de vara.
International 05 Nov. 2012
Patru nave guvernamentale chineze au intrat, vineri, in apele teritoriale ale insulelor administrate de Japonia, dar revendicate de China.
Social 19 Sep. 2012
Aproximativ 150 de cetateni chinezi stabiliti in Romania au protestat marti in fata Ambasadei Japoniei la Bucuresti.
International 13 Sep. 2012
U.S. News & World Report a realizat topul celor mai frumoase 12 insule din lume, iar Bora Bora se afla pe primul loc.
Business 13 Sep. 2012
Grecia are nevoie de bani dar nu doreste sa-si vanda din insule. Prin urmare s-ar putea sa le concesioneze pe mai multi ani.
International 26 Jul. 2012
Un cutremur cu magnitudinea 5,8 s-a produs joi in largul Insulei Mauritiu, in Oceanul Indian, a anuntat Institutul american de geofizica USGS.
International 08 Jul. 2012
In urma cutremurului nu a fost declansata o alerta de tsunami.
International 10 Jan. 2012
Un cutremur cu magnitudinea de 6,6 s-a produs luni in apropiere de insulele Santa Cruz, in arhipelagul Solomon, in Pacific.
Incredibil 08 Nov. 2011
Activitatea unui vulcan subacvatic a determinat autoritatile spaniole sa inchida portul de pe Insula El Hierro.
International 02 May. 2011
De ceva vreme, insule de vis, dar care inainte erau putin cunoscute, precum Phuket si Boracy, au ajuns sa aiba in prezent mai multi turisti decat nisip.
International 22 Apr. 2011
In urma unei cercetari recente la nivel global s-a ajuns la concluzia ca Pamantul are cu 657 de insule mai mult decat se credea inainte.
Business 28 Jun. 2010
Guvernul grec a scos la vanzare insule, pentru a plati datoria externa si a salva economia tarii.
Foloseste formularul de mai jos