Business 14:00
Recomandari 10:29
Horoscop 04:00
Nu ai cont? Aboneaza-te
Business 31 May. 2013
Afla cerintele impuse investitorului care ar putea sa preia Oltchim, cerinte impuse de Ministerul Economiei.
International 31 May. 2013
Fostul premier moldovean Vlad Filat a anuntat joi ca a fost semnat acordul Coalitiei Pro-Europene, atat de liderii politici, cat si de toti deputatii formatiunilor care vor forma majoritatea parlamentara.
Sport 31 May. 2013
Fostul premier Adrian Nastase, cunoscut simpatizant al echipei Dinamo, spune ca s-ar fi bucurat ca Gigi Becali sa nu ajunga in penitenciar si apreciaza ca Steaua Bucuresti isi va pierde o parte din forta din acest motiv.
Social 31 May. 2013
Ministerul Educatiei a anuntat ca a deblocat 50 de milioane de lei pentru decontarea transportului elevilor navetisti.
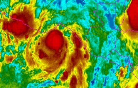
Uraganul Barbara a fost retrogradat la nivelul de furtuna tropicala, la putin timp dupa ce a atins uscatul, in sud-estul Mexicului si a provocat moartea a doua persoane.
Politica 31 May. 2013
Premierul Victor Ponta i-a raspuns ministrului Economiei, Varujan Vosganian, care a contestat realitatea cifrelor prezentate de Guvern legat de indemnizatiile directorilor din companii de stat, afirmand ca ministrul "nu stie lucrurile astea" daca lipseste de la sedintele de guvern.
MADR avertizeaza ca porumbul, floarea-soarelui si rapita nu vor mai fi profitabile de anul viitor.
LifeStar 31 May. 2013
Muzeul Colectiilor de Arta din Bucuresti, care a fost inchis in 2009 pentru ample lucrari de reabilitare si restaurare, se redeschide integral pentru public incepand cu data de 4 iunie si isi intampina vizitatorii cu 34 de colectii, patru dintre acestea fiind prezentate in premiera.
Distribuitorul de carburanti MOL Romania, parte a grupului ungar de petrol si gaze MOL, a finalizat prima etapa a unei investitii de 10 milioane euro pentru construirea Giurgiu a celui de-al doilea depozit de carburanti in Romania, si se asteapta sa aiba vanzari in crestere in acest an.
Directorul Antena Group, Sorin Alexandrescu, a fost ridicat, joi, de procurori DNA si a fost informat ca este urmarit penal pentru santaj.
Facebook a lansat paginile si profilele verificate, ajutand utilizatorii sa depisteze conturile autentice ale celebritatilor si ale altor persoane importante de business de pe Facebook.
David Petraeus, general in rezerva al armatei SUA care a demisionat anul trecut de la sefia CIA, isi reinventeaza cariera la fondul de investitii KKR, unde va conduce un nou departament.
Painea se va ieftini de la 1 iulie daca se va adopta reducerea TVA la 9%, astfel ca o franzela va costa 85 de bani, fata de 1 leu in prezent, a declarat joi Aurel Popescu, presedintele patronatului din industria painii, Rompan, la un eveniment organizat de Consiliul Concurente.
Samsung Electronics a prezentat joi Galaxy S4 mini, o varianta de dimensiuni mai mici a varfului de gama, mai putin performanta, dar care va avea un pret mai redus, fara a preciza cand va fi disponibil pe piata noul smartphone.
Romania a coborat in ultimul an doua locuri, pe 55, intr-un top al competitivitatii economice realizat pentru 60 de state de catre Institutul International pentru Managementul Dezvoltarii (IMD) din Elvetia, cel mai slab calificativ incepand din anul 2003.
Presedintele Traian Basescu a declarat, joi, ca sectorul de stat al economiei romanesti nu este competitiv si "nu este pregatit sa intre in zona Euro", estimand totodata ca tara noastra ar putea deveni "un candidat serios" pentru Eurozona in 2017 - 2018 daca acordul cu FMI si UE va avea succes.
Fosta disidenta Doina Cornea, care joi a implinit 84 de ani, a primit titlul de cetatean de onoare al judetului Cluj, din partea presedintelui Consiliului Judetean, Horea Uioreanu.
Tehnicianul formatiei ucrainiene Sahtior Donetk, Mircea Lucescu, a vorbit despre reteta succesului echipei pe care o antreneaza si despre importanta lui Laurentiu Reghecampf pentru performantele Stelei.
Presedintele Camerei Deputatilor, Valeriu Zgonea, a declarat joi, la Craiova, ca postul lui George Becali in Parlament nu este vacant, el aratand ca, potrivit Statutului deputatilor si senatorilor, in forma nemodificata, luarea unei astfel de decizii trebuie supusa la vot.
Jon Bon Jovi a renuntat la onorariul sau pentru concertul pe care trupa din care face parte, Bon Jovi, il va sustine pe 27 iunie la Madrid, in contextul crizei economice din Spania.
Federatia Romana de Fotbal a anuntat, joi, ca programul de circulatie al metroului va fi prelungit cu doua ore, sambata, cu ocazia finalei Cupei Romaniei, trofeu disputat de CFR Cluj si Petrolul Ploiesti.
Incredibil 31 May. 2013
Mai multe restaurante din SUA au introdus in meniuri feluri de mancare pe baza de carne de leu, scrie businessinsider.com .
Auto 31 May. 2013
Pentru cei pasionati de Formula 1, dar si de hothatch-uri, Renault vine cu o editie speciala a lui Megane RS, in onoarea titlului obtinut de Red Bull Racing.
Potrivit sefului Inspectoratului Scolar Judetean Prahova, profesorul Horia Toma, un numar de 104 dintre cei 209 candidati care au sustinut bacalaureatul in sesiunea speciala organizata anul acesta la Ploiesti au reusit sa promoveze acest examen, scrie MEDIAFAX.
Yuppy 31 May. 2013
Ziua Copilulului se apropie. Si, pentru ca stiu ca micutul sau micuta din tine inca exista, iti propun sa te intorci in timp si sa iti amintesti de povestile care isi puneau pe jar imaginatia, de balaurii cu care te luptai, te aventurile in care porneai, de povestile care te faceau sa visezi cu ochii deschisi. Noi am adunat doar 20 de cartile preferate ale copilariei. Ale voastre care erau?
Zev are doar 14 ani dar creeaza cu ajutorul fotografiei lumi de poveste. Va invitam sa le descoperiti.
HEINEKEN Romania a lansat editia 2013 a programului „HEINEKEN pentru Comunitati”, in parteneriat cu Asociatia CSR Nest. Obiectivului programului este sa sustina si sa dezvolte comunitatile locale in care compania HEINEKEN isi desfasoara activitatea.