Business 14:00
Recomandari 10:29
Horoscop 04:00
Nu ai cont? Aboneaza-te
International 07 Jan. 2015
Autoritatile japoneze au cerut miercuri populatiei sa fie vigilenta din cauza noilor furtuni de zapada din jumatatea de nord si vest a tarii.
International 14 Dec. 2014
Partidul premierului Japoniei Shinzo Abe a castigat scrutinul legislativ anticipat desfasurat duminica, relateaza presa nipona.
International 08 Dec. 2014
Ministrul japonez Taro Aso a declarat ca pentru dezechilibrul demografic trebuie invinovatite femeile care refuza sa aiba copii, nu batranii.
International 04 Dec. 2014
Racheta japoneza H-2A a lansat cu succes, miercuri, sonda spatiala Hayabusa-2, care are programata in 2018 o "intalnire" cu un asteroid primitiv.
Business 17 Nov. 2014
A treia mare economie a lumii, Japonia, a reintrat in recesiune la finalul trimestrului al treilea.
International 12 Nov. 2014
Un barbat s-a incendiat la Tokyo, lasand scrisori adresate premierului Shinzo Abe si parlamentarilor in care se pronunta impotriva posibilitatii ca Japonia sa participe la operatiuni militare externe in scopul apararii unui aliat.
International 10 Nov. 2014
Cu ocazia summitului Asia-Pacific, China si Japonia au facut la Bejing un prim pas spre ameliorarea relatiilor.
International 05 Nov. 2014
Britanicii au desemnat un whisky single malt, produs din orz germinat la o singura distilerie, din Japonia ca fiind cel mai bun din lume.
International 19 Oct. 2014
Nave ale Pazei de Coasta chineze au patruns in zone disputate din Marea Chinei de Est, dupa ce premierul nipon, Shinzo Abe, a trimis ofrande rituale la Sanctuarul Yasukuni, iar trei ministri japonezi au vizitat controversatul monument shintoist.
International 10 Oct. 2014
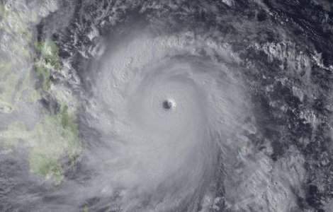
Potrivit ultimelor previziuni puternicul taifun Vongfong se apropia vineri de arhipelagul japonez.
International 01 Oct. 2014
Miercuri dupa-amiaza au fost descoperite alte cinci cadavre pe varful muntelui japonez Ontake, care a erupt sambata, bilantul provizoriu al tragediei fiind in prezent de 48 de morti.
International 28 Sep. 2014
Mai mult de 30 de persoane au fost localizate duminica de echipele de salvare in "stop cardiac" in apropiere de vulcanul care a erupt in centru Japoniei.
International 27 Sep. 2014
Mai multe persoane au fost ranite dupa ce un vulcan a intrat in eruptie in centrul Japoniei, proiectand in aer cenusa si pietre.
International 12 Sep. 2014
Prima implantare a unor celule reprogramate, denumite pluripotente induse (iPS), a avut loc vineri in Japonia.
International 04 Sep. 2014
9AM.ro iti prezinta cele mai recomandate destinatii turistice din lume, clasament realizat in functie de experienta turistilor si de gradul in care acestia ar recomanda tara respectiva potentialilor vizitatori.
International 03 Sep. 2014
Dupa 20 de ani de la preluarea puterii executive, priemierul japonez Shinzo Abe a decis remanierea echipei guvernamentale.
International 02 Sep. 2014
Oamenii de stiinta din Japonia au anuntat dezvolatrea unei noi metode pentru detectarea prezentei virusului Ebola in 30 de minute.
Social 28 Aug. 2014
Televiziunea nationala din Japonia a trimis o echipa pentru a realiza un documentar despre Salina Turda.
International 27 Aug. 2014
Un eventual cutremur puternic ar putea provoca, in Marea Japoniei, in cateva minute un tsunami urias care ar atinge pe alocuri 23 de metri.
International 26 Aug. 2014
Japonia s-a declarat pregatita, luni, sa funizeze un tratament experimental pus la punct de o companie nipona pentru a lupta impotriva virusului Ebola, care devasteaza patru tari din Africa de Vest.
Incredibil 20 Aug. 2014
Un japonez in varsta de 111 ani, Sakari Momoi, a primit, marti, titlul de cel mai batran barbat din lume.
International 14 Aug. 2014
Japonia a trimis o papusa Hello Kitty pe orbita terestra, in cadrul unei misiuni prin care guvernul nipon doreste sa promoveze imaginea industriei high-tech.
International 12 Aug. 2014
Grupul japonez cu activitate in industria grea Mitsubishi Heavy Industries va construi impreuna cu alte intreprinderi japoneze primul avion invizibil pe radar.
International 10 Aug. 2014
Taifunul Halong a afectat, duminica, vestul Japoniei, provocand moartea a cel putin o persoana si ranirea altor cateva zeci.
International 09 Aug. 2014
Aproximativ 460 de zboruri au fost anulate sambata, in sud-vestul Japoniei, blocand mii de turisti, in contextul apropierii Taifunului Halong.
International 10 Jul. 2014
Centrul taifunul Neoguri a ajuns pe Kyushu, una dintre cele patru insule principale care formeaza arhipelagul nipon, a anuntat Agentia meteorologica nationala.
International 07 Jul. 2014
Un taifun foarte puternic, supranumit Neoguri, se indrepta luni catre insula Okinawa, in extremul sudic al Japoniei.
International 03 Jul. 2014
Tokyo va anula o parte din sanctiunile unilaterale impuse Phenianului, in cadrul negocierilor cu privire la japonezii rapiti in timpul Razboiului Rece.
International 02 Jul. 2014
Guvernul japonez a adoptat marti decizia istorica de a autoriza fortele armate nipone sa participe la operatiuni militare in strainatate cu scopul de a ajuta aliati, o premiera de la adoptarea in 1947 a Constitutiei pacifiste.
Business 30 Jun. 2014
Cele mai mari 1.000 de banci din lume au obtinut anul trecut profit record de 920 de miliarde de dolari.
International 29 Jun. 2014
Un cutremur cu magnitudinea de 6,2 a avut loc duminica in Oceanul Pacific, in largul coastelor Japoniei, anunta Institutul american de geofizica.
Sport 25 Jun. 2014
Reprezentativa Columbiei a incheiat pe primul loc grupa C de la Cupa Mondiala, dupa ce a invins, marti, la Cuiaba, cu scorul de 4-1 (1-1), selectionata Japoniei
Sport 20 Jun. 2014
Echipa nationala a Greciei, a terminat la egalitate, joi, la Natal, scor 0-0, cu reprezentativa Japoniei.
Business 05 Jun. 2014
Compania japoneza SoftBank a anuntat joi cand va incepe sa vanda roboti umanoizi pentru uz personal.
Business 02 Jun. 2014
China, care si-a cladit succesul economic pe forta de munca ieftina, a depasit anul trecut Japonia si a devenit cel mai mare cumparator de roboti industriali din lume, orientarea companiilor catre tehnologie fiind determinata de cresterea salariilor si de concurenta puternica a altor tari emergente.
LifeStar 26 May. 2014
Un barbat inarmat cu un fierastrau a atacat si a ranit doua membre ale trupei de muzica pop japoneze AKB48.
LifeStar 20 May. 2014
Cantaretul britanic Paul McCartney si-a anulat turneul din Japonia, intitulat "Out There", din cauza unei infectii virale si are nevoie de repaus complet, au afirmat, marti, organizatorii concertelor.
International 20 May. 2014
Purtatorul de cuvant al Guvernului japonez a exprimat marti "ingrijorari mari" din partea autoritatilor de la Tokyo fata de evenimentele din Thailanda, o tara in care Japonia investeste masiv si in care armata a decretat legea martiala.