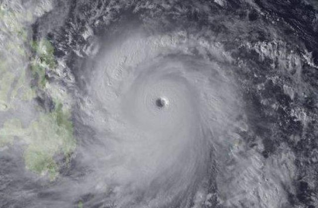
Previzionand rafale de vant foarte puternice si ploi torentiale, agentia le-a recomandat locuitorilor din Okinawa sa ramana in casele lor si sa evite deplasarile care nu sunt absolut necesare.
Despre autor:
Te-ar putea interesa si:
In lipsa unui acord scris din partea Internet Corp, puteti prelua maxim 500 de caractere din acest articol daca precizati sursa si daca inserati vizibil linkul articolului.
-
Ce planuri are PKO Bank în România: cea mai mare bancă din Polonia are active...
Sursa: futurebanking.ro
-
Sumă record cheltuită de utilizatorii OnlyFans în 2024. Câți bani au ajuns la...
Sursa: wall-street.ro
-
Un brand britanic de fish and chips intră pe piața din România. Cine este...
Sursa: retail.ro
-
Test Drive Renault Clio 6 E-Tech: sustenabil și economic, dar și două neajunsuri
Sursa: green.start-up.ro
-
Secretele meseriilor din România: meseria perfectă pentru orice iubitor de...
Sursa: start-up.ro
-
Alegi o matrioska și afli calea karmică pe care trebuie să o urmezi chiar...
Sursa: garbo.ro
-
Nicușor Dan la întâlnirea cu Zelenski: A existat neîncredere între țările...
Sursa: kudika.ro