Recomandari 18:27
Recomandari 18:20
Recomandari 18:05
Nu ai cont? Aboneaza-te
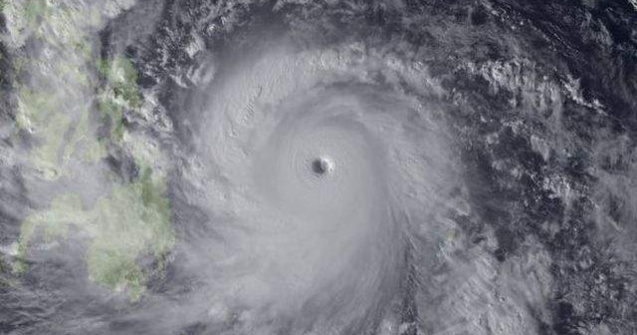
International 07 Jul. 2014
Un taifun foarte puternic, supranumit Neoguri, se indrepta luni catre insula Okinawa, in extremul sudic al Japoniei.
International 13 Apr. 2013
Japonia a anuntat vineri ca va trimite rachete Patriot pe insula meridionala Okinawa pe termen lung, cu scopul de a isi intari scutul antiracheta.
Social 26 Sep. 2011
Dieta Okinawa este mai mult un stil de viata care te va ajuta sa pierzi din greutate intr-un mod sanatos
International 05 Oct. 2010
Un cutremur cu magnitudinea 6,3 a fost resimtit in insula Okinawa, in largul coastelor Japoniei, generand avertismente de tsunami.