Recomandari 14:03
Business 14:00
Recomandari 13:59
Nu ai cont? Aboneaza-te
International 18 Jul. 2014
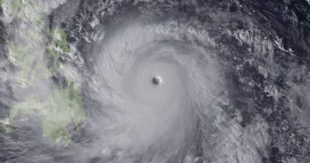
Primul taifun al sezonului care a traversat Filipine a cauzat moartea a 38 de persoane, potrivit unui bilant publicat joi si care ar putea sa creasca, in pofida unui ordin de evacuare a sute de mii de persoane.
Angela Merkel a cerut, vineri, o incetare a focului imediata in Ucraina, dupa prabusirea unui avion al companiei Malaysia Airlines, cu 298 de persoane la bord, in estul acestei tari, devastat de o insurgenta prorusa.
Israelul a decis sa-si reduca personalul diplomatic in Turcia, in urma unor manifestatii violente antiisraeliene care au avut loc in noaptea de joi spre vineri la Istanbul si Ankara, a declarat un purtator de cuvant al Ambasadei Israelului.
Rusia va insista pentru desfasurarea unei anchete obiective, deschise si independente privind prabusirea avionului malaysian in regiunea Donetk, din estul Ucrainei, a declarat, vineri, ministrul rus de Externe, Serghei Lavrov, relateaza Russia Today.
Rusia va riposta in cazul unor tiruri ucrainene deliberate pe teritoriul sau, "distrugand punctul aflat la originea tirului", a declarat vineri ministrul rus al Afacerilor Externe, Serghei Lavrov.
Racheta care a doborat joi avionul Malaysia Airlines a fost lansata cel mai probabil de separatisti prorusi din estul Ucrainei, conchide o analiza preliminara clasificata a serviciilor americane de informatii, a declarat pentru CNN un oficial american din domeniul apararii.
Peste 20 de persoane au fost ucise vineri in regiunea Lugansk, din estul Ucrainei, intr-un atac masiv cu rachete, a anuntat, intr-un comunicat, Consiliul Municipal local, relateaza agentia Interfax-Ucraina, in pagina electronica.
International 19 Jul. 2014
Niciun sistem de rachete Buk sau alte echipamente militare ale fortelor armate ruse nu a trecut frontiera ruso-ucraineana, a declarat vineri seara un reprezentant al Ministerului rus al Apararii, dupa prabusirea avionul Boeing 777 in estul Ucrainei, relateaza agentia RIA Novosti, conform MEDIAFAX.
Presedintele american Barack Obama a discutat la telefon, vineri seara, cu premierul britanic David Cameron si cancelarul german Angela Merkel despre posibilitatea de a impune noi sanctiuni contra Rusiei.
Ministrul ucrainean al Apararii, Valeri Gheletei, l-a informat pe presedintele Petro Porosenko ca fortele militare ale Ucrainei au preluat controlul asupra sud-estului orasului Lugansk.
Franta va trimite doi experti in Ucraina si a propus mijloacele sale tehnice, pentru a participa la ancheta cu privire la circumstantele prabusirii, joi seara, a avionului malaysian, doborat probabil de o racheta, a anuntat vineri Guvernul francez.
Cel putin 11 presupusi insurgenti au fost ucisi sambata intr-un atac al unui avion fara pilot american, care viza o tabara a talibanilor in nord-vestul Pakistanului.
Ambasada SUA la Bucuresti transmite profunde condoleante tuturor celor care si-au pierdut persoane dragi aflate la bordul aeronavei prabusita in Ucraina.
Cel putin noua persoane au murit, iar alte zeci au fost ranite, unele fiind in stare grava, dupa coliziunea a doua autocare pe o autostrada din Germania.
International 20 Jul. 2014
Intalnirea a doua rauri mari este o priveliste spectaculoasa. 9AM.ro va prezinta zece fotografii memorabile ale caror actori principali sunt marile rauri ale lumii.
Salvatorii italieni si maltezi au descoperit cadavrele a 18 imigranti pe o nava aflata in largul Insulei Lampedusa, in timp ce un al nouasprezecelea barbat a murit in cursul operatiunilor de salvare.
Secretarul de Stat american, John Kerry, i-a exprimat omologului sau rus, Serghei Lavrov, "profunda preocupare" a Washingtonului in legatura cu conditiile de acces ale anchetatorilor internationali la locul prabusirii avionului malaysian in Ucraina.
Un tribunal din Florida a decis ca o americanca, vaduva unui barbat ce a murit de cancer pulmonar, sa primeasca o despagubire-record in valoare de 23,6 miliarde de dolari de la compania producatoare de tigari RJ Reynolds Tobacco Company.
Liderii separatisti din Donetk sunt dispusi sa garanteze securitatea expertilor internationali la locul prabusirii avionului malaysian, in estul Ucrainei, daca Administratia de la Kiev va accepta un armistitiu.
International 21 Jul. 2014
Peste 120 de palestinieni au fost ucisi de bombardamentele armatei israeliene la o periferie a orasului Gaza, duminica, in ziua cea mai sangeroasa a conflictului, in care 13 militari israelieni au murit, de asemenea, iar unul a fost rapit, potrivit Hamas.
O convorbire telefonica intre doi sefi rebeli inregistrata de serviciile de securitate ucrainene, ce arata ca oamenii din subordinea celor doi lideri au doborat un avion civil, a fost autentificata de experti americani, a anuntat duminica Ambasada Statelor Unite la Kiev, relateaza AFP.
Tiruri intense de artilerie au fost declansate luni, inainte de pranz, in zona garii din Donetk, intr-un cartier din acest oras important din estul tarii, un fie al separatistilor prorusi.
Premierul Arseni Iateniuk a anuntat ca Ucraina este pregatita sa incredinteze Olandei coordonarea anchetei internationale cu privire la prabusirea avionului malaysian, doborat probabil de o racheta, "tara care a suferit cel mai mult".
Rusia risca sa se confrunte cu o izolare crescanda dupa catastrofa avionului malaysian, in conditiile in care opinia publica occidentala se mobilizeaza impotriva presedintelui Vladimir Putin, care, de asemenea, ar putea fi tinta criticilor si in plan intern.
Un australian de 18 ani din Melbourne este autorul unui atentat sinucigas care a avut loc saptamana trecuta in apropierea unei moschei din centrul Bagdadul, soldat cu cel putin trei morti si zeci de raniti, au anuntat, luni, autoritatile de la Canberra.
Hans de Borst, un olandez care si-a pierdut fiica in varsta de 17 ani in teribilul accident aviatic din estul Ucrainei, i-a trimis o scrisoare emotionanta presedintelui rus Vladimir Putin in care ii "multumeste" ca i-a ucis copilul, relateaza telegraph.co.uk .
Iranul a diminuat concentratia stocurilor de uraniu imbogatit la nivelul de 20 la suta, in conformitate cu acordul interimar incheiat in noiembrie cu marile puteri, anunta Agentia Internationala pentru Energie Atomica (AIEA).
Rusia a interzis, incepand de luni, importurile de conserve de fructe si legume din Republica Moldova, dupa ce a decis sa impuna un embargo asupra fructelor moldovenesti, din cauza unei "insecte periculoase", relateaza Jurnal de Chisinau.
Uniunea Europeana este pregatita sa adopte noi sanctiuni impotriva Rusiei, care ar putea viza in special tehnologiile ce pot fi folosite in scopuri militare, a declarat luni premierul britanic, David Cameron, citat de AFP.
International 22 Jul. 2014
Separatistii prorusi au predat unor oficiali malaysieni, in cursul noptii de luni spre marti, la Donetk, cutiile negre ale avionului prabusit joi.
Malaysia Airlines a deviat deasupra Siriei unul dintre zborurile sale pentru a evita traversarea spatiului aerian ucrainean dupa prabusirea uneia dintre aeronavele sale.
Obama si omologul sau polonez Bronislaw Komorowski au discutat luni despre "importanta de a creste cheltuielile pentru aparare" ale membrilor europeni ai NATO.
Secretarul general al Natiunilor Unite, Ban Ki-moon, a cerut luni, intr-o conferinta de presa, la Cairo, ca ostilitatile dintre Israel si miscarea islamista palestiniana Hamas sa inceteze "imediat".
Letonia a interzis intrarea a trei artisti rusi care ar fi trebuit sa participe in aceasta saptamana la un concurs de muzica in fosta republica sovietica pentru ca au facut declaratii in favoarea Kremlinului in privinta conflictului din Ucraina, a anuntat luni Ministerul leton al Afacerilor Externe.
Un punct de control al armatei ucrainene din regiunea Donetk a fost vizat de un atac sinucigas, in cursul noptii de luni spre marti, a anuntat un purtator de cuvant militar, citat de publicatia Le Monde in editia electronica.
Canada, in coordonare cu Statele Unite si Uniunea Europeana vor adopta noi sanctiuni impotriva Rusiei ca urmare a doborarii avionului malaysian in estul Ucrainei, afirma premierul canadian, Stephen Harper.
Pe 22 iulie 2011, norvegianul Anders Behring Breivik a detonat o bomba in centrul orasului Oslo, ucigand opt persoane, apoi a mers pe insula Utoya, unde a omorat 69 de tineri. 9AM.ro va prezinta cronologia atacului care a ingrozit o lume intreaga.
Peste 40.000 de militari rusi sunt dislocati la frontiera ruso-ucraineana si dispun de armament greu, a declarat, marti, in Parlamentul de la Kiev, secretarul Consiliului ucrainean pentru Securitate Nationala si Aparare, Andrei Parubi.
Steagul ucrainean a fost arborat la sediul Primariei Severdonetk, un oras cu aproximativ 110.000 de locuitori din estul Ucrainei, cucerit marti de la separatisti prorusi, au anuntat Ministerul de Interne si muncipalitatea.
Rusia sustine ca nu este responsabila de catastrofa aviatica din estul Ucrainei, insa mesajele de condoleante lasate de numerosi rusi la ambasada Olandei din Moscova arata ca acestia considera ca tara lor poarta o parte din responsabilitate.
International 23 Jul. 2014
Agentia europeana pentru siguranta aeriana recomanda companiilor europene sa evite cursele aeriene spre Israel pana la stabilizarea situatiei, din cauza riscului unor atacuri cu racheta.
Companiile aeriene Air France, Lufthansa si Delta au decis suspendarea zborurilor spre Israel, din cauza rachetelor lansate de militanti Hamas in contextul conflictului cu armata israeliana.
Uniunea Europeana va pregati sanctiuni tintite vizand Rusia in domeniile tehnologiei si apararii, in urma prabusirii avionului malaysian in Ucraina, a anuntat marti ministrul austriac de Externe.
Marea Britanie continua sa exporte armament si echipament militar in Rusia, potrivit unui raport parlamentar britanic publicat miercuri, la doua zile dupa ce premierul David Cameron a criticat vanzarea de catre Franta a unor nave militare Moscovei.
Zborul MH17 probabil a fost doborat "din eroare", deasupra estului Ucrainei, de catre separatisti prorusi slab pregatiti, potrivit unor oficiali americani din domeniul securitatii, relateaza AFP.
Republica Moldova va solicita Organizatiei Mondiale a Comertului (OMC) adoptarea unor sanctiuni impotriva Rusiei, dupa interzicerea importurilor de fructe si legume pe piata rusa, a declarat directorul Agentiei Nationale pentru Securitatea Alimentelor, Ion Sula, relateaza Unimedia.
Ultimele manevre inaintea calatoriei finale a navei Costa Concordia au debutat miercuri in largul insulei Giglio, in fata catorva sute de curiosi si locuitori ai insulei toscane, la doi ani si jumatate dupa naufragiul pachebotului, soldat cu 32 de morti.
Doua avioane de vanatoare au fost doborate miercuri in estul Ucrainei, a anuntat un purtator de cuvant al "operatiunii antiteroriste" conduse de fortele ucrainene, transmite AFP.
Un avion de pasageri s-a prabusit la aterizare, miercuri, pe aeroportul din insula taiwaneza Penghu, cel putin 51 de persoane murind in accident, anunta surse locale.